PRIVATE .8 ACRE MOUNTAIN TOP WITH VIEWS IN EVERY DIRECTION BOULDER CREEK, CA
PRIVATE .8 ACRE MOUNTAIN TOP WITH VIEWS IN EVERY DIRECTION BOULDER CREEK, CA
PRIVATE .8 ACRE MOUNTAIN TOP WITH VIEWS IN EVERY DIRECTION, BOULDER CREEK, CA
SOLD
Looking for privacy? Check out this extremely private .8 acre mountaintop with views in every direction! This is prime mountain top real estate in the redwoods with no neighbors! Located in the Riverdale Park subdivision along the ridge between Hwy 9 and Big Basin Hwy in Boulder Creek. Just 3 miles to downtown Boulder Creek and 40 minutes to the beach. Imagine this as your own private compound and hideaway to enjoy. The property is at the very top of the ridge and is fairly level. There is a dirt road along the mountain ridge bordering the property. We have not yet been to see this property and do not know specifically how to access it at this time. We only have the above aerial drone pictures at this time.
Santa Cruz County currently requires 1 acre to issue septic or building permits. The county will not allow you to live, park an RV or camp on the property. Daytime recreational use is allowed. This is a very remote and private location, there's no one up there to bother you. Where else can you buy a such a amazingly beautiful property for so little?
The timber value of this property is likely 20x the asking price. Fantastic investment! This unique property will not last long at this price! Don't miss out on this one! Make it yours today!
PURCHASE OPTIONS:
CLICK TO RESERVE PROPERTY$14,995
Cash Discount Price
Save $35,000
INSTANT EQUITY!
+$495 Document Fee
(Due At Checkout To Hold Property)
$14,995 Cash Discount Price Due Within 30 Days
Via: Cash, Check, Money Order or Bank Transfer
This Property Will Be Conveyed To You
Once We Receive Full Payment
Have Questions?
☎ (888) 700-LAND
All Properties Include Our
30 Day Money Back Guarantee.

CLICK TO RESERVE PROPERTY
Setup Payments Online!
$1,495 Down
+$495 Document Fee(Due At Checkout To Hold Property)
EASY MONTHLY PAYMENT OPTIONS
Option A: $399/mo for 56 Months
Option B: $349/mo for 66 Months
Option C: $299/mo for 81 Months
Option D: $249/mo for 101 Months
✓ 0% Interest
✓ Guaranteed Financing
✓ No Credit Check
✓ No Qualifying
✓ No Prepayment Penalty
✓ Auto-Billing
✓ Flexible payment terms available.
10% Discount on Remaining Loan Balance If Paid Early In Cash
Simply click the "Finance Now" button above to setup your financing payment plan with a credit card. We will send you a Land Contract via email. The payment amount you choose will be auto-billed to your card each month. The property will be deeded to you and recorded at the county once all payments are complete.
PROPERTY INFO:
State: California
County: Santa Cruz
Nearest Towns: Boulder Creek, Ben Lomond, Felton
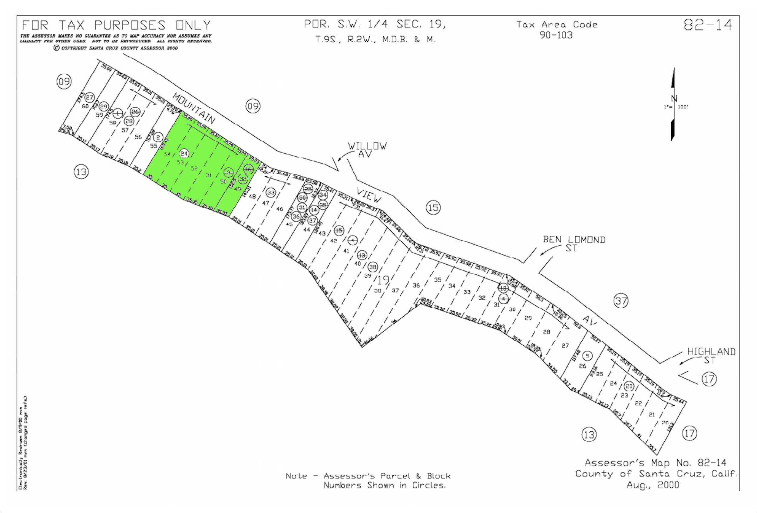
Address: 0 Mountain View Dr.
APN: 082-141-24, 32
Legal:Riverdale Park Lots 49,50,51,52,53,54
Parcel Size: .80 acres, 34,848 sqft.
Access: unknown (possibly via Debby Ln.)
Terrain: flat mountain ridge, redwood forest
Power: unknown/Solar
Water: Well/storage tank installed by buyer
Septic: required to build
Title: Clear title
Conveyance: Special Warranty Deed
Document Fee: $495
Zoning: (RA)Residential, Recreational & Agricultural uses allowed
Timber Value: Approx. $100k+
Taxes: Currently Exempt $0/year
Elevation: Approx 850'
GPS: Center: 37.13316, -122.13136
NW Corner: 37.133512, -122.131524
NE Corner: 37.133200, -122.130904
SW Corner: 37.133154, -122.131921
SE Corner: 37.132863, -122.131151
GOOGLE Map View: CLICK HERE
ALL THE INFORMATION WE HAVE ON THIS PROPERTY IS DISCLOSED WITHIN THE CONTENT OF THIS LISTING PAGE. IN MOST CASES WE HAVE NOT SEEN THE PROPERTY. ANY AND ALL OTHER QUESTIONS REGARDING THIS PROPERTY SHOULD BE DIRECTED TOWARD THE CITY OR COUNTY OF WHICH THE PROPERTY IS LOCATED IN. YOUR DUE DILIGENCE SHOULD BE PERFORMED PRIOR TO BUYING, TO ENSURE THE PROPERTY MEETS YOUR NEEDS AND CRITERIA.
Good Luck, Happy Investing!
Come Explore Santa Cruz County!
Discover why Santa Cruz County has the one of the best qualities of living anywhere. Nestled in one of the most unique natural environments in the world. This stunningly beautiful region is a very special place, like no where else. Fresh air, a unique country atmosphere and small community feel minutes from the city. Centrally located between the San Francisco Bay Area and Monterey Bay Area it's the best of all worlds. From majestic ancient Redwood forests to some of the most pristine beaches in the world and surfing mecca, Santa Cruz County offers the ideal place to explore, play and relax.
Find Adventure In The Santa Cruz Mountains!
The Santa Cruz Mountains are a majestic natural playground where you can relax, play, or map out an epic adventure. Like California itself, the mountains span a region as diverse as it is beautiful, with cool, moist ecosystems in the valleys and warm, dry chaparral at higher elevations. Hike California’s oldest state park, Big Basin Redwoods State Park, criss-crossed with over 80 miles of trails winding through old growth redwood forests, lush canyons, and cascading waterfalls. Mountain bike the Skyline to the Sea Trail, which winds 38 miles from Castle Rock State Park through Big Basin to the Pacific Ocean. Pitch your tent deep in the backcountry and disappear into the wild for a week.